12月に入りタンクトップ&短パン→Tシャツ&短パンに衣替えする日がボチボチ出て来ました(笑)。。寒さに対する個人差はありますが、石垣島は12月でも基本Tシャツ&短パンで、肌寒い時は軽くパーカーなどを羽織る程度で過ごすことができます^^
石垣島の冬季シーズンの気温


石垣島の冬季シーズンは12月~2月になります。ただクリスマスぐらいまではTシャツ&短パンで過ごせる日が多く気温が20℃を下回る日は、ほとんどありません。その年によって若干の変動はありますが、気温が20℃を下回る日が出て来るのが12月下旬頃~2月中旬頃になります。ただワンシーズンの冬で気温が15℃を下回る日は2回あるかないかぐらいです(笑)。。ちなみに石垣島に20年以上居て、気温が一桁になったのはたったの2回です^^なので石垣島は雪とは無縁の南の島なのです♪
石垣島の冬季シーズンの水温

石垣島の冬季シーズンの水温は22℃~24℃ぐらいになります。ただ12月の水温は25℃近くあるので、ウェットスーツを着れば快適にシュノーケリングを楽しむことができます。水温は気温と違って12月は11月、1月は12月、2月は1月、3月は2月という感じで 一ヶ月遅れで下がっていきます。なので3月の水温は若干低めになります。
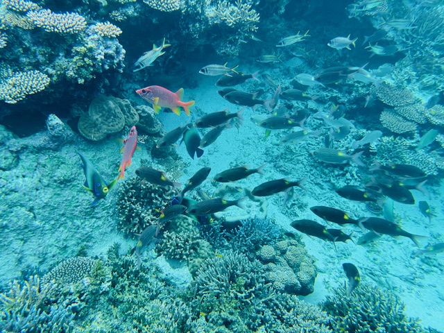
石垣島の冬季シーズンのシュノーケリング



その時の天候にもよりますが、石垣島は冬でもシュノーケリングを楽しむことができます。シュノーケリングをするスポットにもよりますが、冬季シーズンはより透明度が高くなります。やはりシュノーケリングを楽しむ上で透明度の良し悪しは重要なポイントだと思います。またお魚の多さも透明度同様に重要なポイントになってくると思います。寒くなるとお魚が減っちゃうんですか?と質問を頂くこともありますが、お魚の数は夏季シーズンと比べてもほとんど変わりません。なので天候さえ整ってくれれば冬季シーズンでも存分にシュノーケリングを楽しむことができます。
石垣島の冬季シーズンの天候の見方


シュノーケリングの天敵は雨よりも風の強さや風向きです。もちろん雷を伴う警報級の豪雨の場合はNGになります。冬季シーズンの風向きは8割方、北または北東の風になります。逆に夏季シーズンは南または南東の風が多くなります。冬季シーズンは数日間海が荒れて→少し落ち着いて→また荒れて→落ち着いてを繰り返す感じになります。ただ石垣島の冬季シーズンの天候を見る上で風向き&風の強さ&波の高さよりも参考にして頂きたいのが「最高気温」です。天候に恵まれた時の気温は一番気温が落ちる12月後半~2月中旬でも20℃は軽く超えて来ます。現時点のヤフーの週間天気予報を見ると最高気温が25℃前後の日が多くなっています。まだこれから変わる可能性もありますが、この気温を見るとシュノーケリングを楽しめる天候になる可能性が高くなります。冬季シーズンで気温が高い日の風向きは東または南東の風になることが多くなります。朝晩は気温が下がるのは都会と同じなので暖かい日の最低気温は20℃前後ぐらいになります。例えば週間天気予報でその日の最高気温が25℃で次の日が21℃になっているという事は、次の日は生憎の北寄りの風が吹いて天候が荒れてしまうという事になります。ただ気温というのは一日遅れで下がるので次の日よりも二日後の方が下がる事が多くなります。冬季シーズンのシュノーケリングで一番寒く感じるのが、海の中よりも海から上がった後になります。海に入った瞬間は冷たっ!と感じるのですが、これはすぐに慣れます。冬季シーズンの水温は22℃~24℃ぐらいなので水温よりも気温の方が低い場合は寒く感じます。寒さに関しては個人差がありますので、参考程度にはなりますが天気予報を見て最高気温が22℃以上ある時は〇20℃前後の時は△15℃前後の時は×というおおよその見方ができます。〇はシュノーケリングを楽しめるチャンス到来!△は少し寒いけどまあー楽しめる範囲内×は大人しく陸の観光を楽しみましょう!という感じになります^^
天気予報サイトは色々あり、近年はサイトによって予報にバラつきがあるのが困ったところです。。なので複数の天気予報サイトを見ている方はどっちなんだい!と考えてしまう事もあるかもしれませんが、天気予報を確認するサイトは無難にヤフーあたりでいいかと思います。どうしても冬季シーズンは海に入れるのかな~?と思う方も多いかもしれませんが、タイミングが合えばぜひシュノーケリングを楽しみましょう!それでも寒さが気になる方はマングローブウォーク&生き物探しのツアーがお勧めです!

シースマイル石垣島
石垣島川平湾がフィールドのシュノーケリング、カヤックツアー専門店
〒907-0453 沖縄県石垣市川平1218ー151
TEL : 0980-88-5004 E-Mail: info@sea-smile.com



